| Anhang | Größe |
|---|---|
| Amtsblatt 2026_04.pdf | 5.63 MB |
Öffentliche Bekanntmachung der Entscheidung über die Genehmigung zur Errichtung und zum Betrieb einer Anlage nach Bundes-Immissionsschutzgesetz (BImSchG) der Firma MÜLHEIM PIPECOATINGS GmbH
Öffentliche Bekanntmachung
der Entscheidung über die Genehmigung zur Errichtung und zum Betrieb einer Anlage zum Beschichten von Rohren mit Kunstharzen (hier: GFK-Beschichtungsanlage für Rohre) einschließlich der zugehörigen Trocknungsanlage (hier: Anlage zur Aushärtung) auf dem Grundstück Sandstraße 140/Tor 4 in 45473 Mülheim an der Ruhr
Amt für Umweltschutz, Hans-Böckler-Platz 5, 45468 Mülheim
Az.: 70-6/P28973
Gemäß § 21 a der Neunten Verordnung zur Durchführung des Bundes-Immissionsschutzgesetzes (Verordnung über das Genehmigungsverfahren - 9. BImSchV) in Verbindung mit § 10 Abs. 8 des Bundes-Immissionsschutzgesetzes (BImSchG) wird hiermit bekannt gegeben, dass der Firma MÜLHEIM PIPECOATINGS GmbH, Sandstraße 140, 45473 Mülheim an der Ruhr mit Bescheid vom 25.02.2026 nach Maßgabe der eingereichten Unterlagen, unbeschadet der Rechte Dritter, die Genehmigung gemäß §§ 4 und 6 BImSchG zur Errichtung und zum Betrieb einer Anlage zum Beschichten von Rohren mit Kunstharzen (hier: GFK-Beschichtungsanlage für Rohre) einschließlich der zugehörigen Trocknungsanlage (hier: Anlage zur Aushärtung) gemäß der Ziffer 5.2.1 des Anhangs 1 der 4. BImSchV auf dem Grundstück Sandstraße 140/Tor 4 (Gemarkung: Styrum, Flur 42, Flurstück 56 und 58) in 45473 Mülheim an der Ruhr erteilt wurde.
Die Genehmigung der Anlage erstreckt sich im Einzelnen auf:
- Errichtung und Betrieb der Beschichtungsanlagen mit allen notwendigen Nebeneinrichtungen
- Beschichtungsanlagen/Wickelmaschinen (2 Stück) bestehend aus dem Verlegeschlitten mit Laufbahn, der Halterung für die Rollen mit UD-Gelege oder Textilglasmatten sowie den Drehvorrichtungen für die Rohre in der Halle 620
- Bereich für die GFK-Produkte/GFK-Gestell inkl. der Umlenk- und Führungseinrichtungen für die Roving/Fäden in der Halle 620
- Tränkbereich mit Wanne, Imprägnierwalze, Harzabstreifern sowie Fadenführung in der Halle 620
- UV-Strahlwagen zur Aushärtung in der Halle 620
- Drehvorrichtung zur Temperierung der Rohre mittels Infrarotstrahler in der Halle 620
- Rollgang vom Lagerplatz 679 in die Halle 620 zur Beförderung der Rohre
- Zwei Brückenkrananlagen zur Beförderung der Rohre innerhalb der Halle 620
- Dunkelstrahler und Brennwertmodule zur Temperierung der Halle 620
- Abtrennung der Halle 620 mittels Kunststoffplane zwischen dem Werkstatt- und GFK-Beschichtungsbereich
- Regallager zur Harzlagerung in der Halle 621
- Lagerung der GFK-Produkte (Roving, UD-Gelege und Textilglasmatten) in der benachbarten Lagerhalle 621
- Reinigungsstation (Waschtisch) in der Halle 620
- Sanierung des vorhandenen Hallenbodens im antragsrelevanten Nutzungsbereich der GFK-Beschichtungsanlage
Der Genehmigungsbescheid enthält folgende Rechtsmittelbelehrung:
Gegen diesen Bescheid kann innerhalb eines Monats nach Zustellung beim Verwaltungsgericht Düsseldorf (Bastionstraße 39, 40213 Düsseldorf) Klage erhoben werden.
Der Genehmigungsbescheid enthält Auflagen zur Sicherstellung des Immissionsschutzes, zu Belangen des Arbeitsschutzes, zu Belangen des Baurechts und zum Brandschutz, zur Wasser- und Abfallwirtschaft. Die Genehmigung erlischt, wenn nicht innerhalb von zwei Jahren nach Bestandskraft dieses Bescheides mit der Errichtung und innerhalb von drei Jahren nach Bestandskraft dieses Bescheides mit dem Betrieb der Anlage begonnen worden ist.
Die öffentliche Bekanntmachung der Genehmigung erfolgt gemäß § 21 a der 9. BImSchV. Eine Ausfertigung des Genehmigungsbescheides und seiner Begründung liegt in der Zeit vom
28.02.2026 bis einschließlich dem 16.03.2026
auf der nachfolgend genannten Internetseite der zuständigen Unteren Immissionsschutzbehörde des Amtes für Umweltschutz der Stadt Mülheim an der Ruhr zur Einsicht aus:
Auf Verlangen eines Beteiligten kann gemäß § 10 Abs. 8 Satz 5 BImSchG eine leicht zu erreichende Zugangsmöglichkeit zur Verfügung gestellt werden.
Ergänzend ist nach vorheriger Terminabsprache im genannten Zeitraum eine Einsichtnahme an folgender Stelle möglich:
- Amt für Umweltschutz, Untere Immissionsschutzbehörde, Technisches Rathaus, Hans-Böckler-Platz 5, 45468 Mülheim an der Ruhr, E-Mail: UIB@muelheim-ruhr.de, Telefonnummer: 0208 / 455-7050
Gemäß § 10 Abs. 8 Satz 8 BImSchG gilt der Bescheid mit dem Ende der Auslegungsfrist auch gegenüber Dritten, die keine Einwendung erhoben haben, als zugestellt.
Auf obige Rechtsbehelfsbelehrung wird Bezug genommen.
Der Genehmigungsbescheid und seine Begründung können entsprechend § 10 Abs. 8 Satz 9 BImSchG bis zum Ablauf der Klagefrist von den Personen, die Einwendungen erhoben haben, schriftlich oder elektronisch bei der Stadt Mülheim an der Ruhr, Amt für Umweltschutz, Hans-Böckler-Platz 5, 45468 Mülheim an der Ruhr angefordert werden.
Mülheim an der Ruhr, 26.02.2026
Der Oberbürgermeister
I. A.
Vieweg
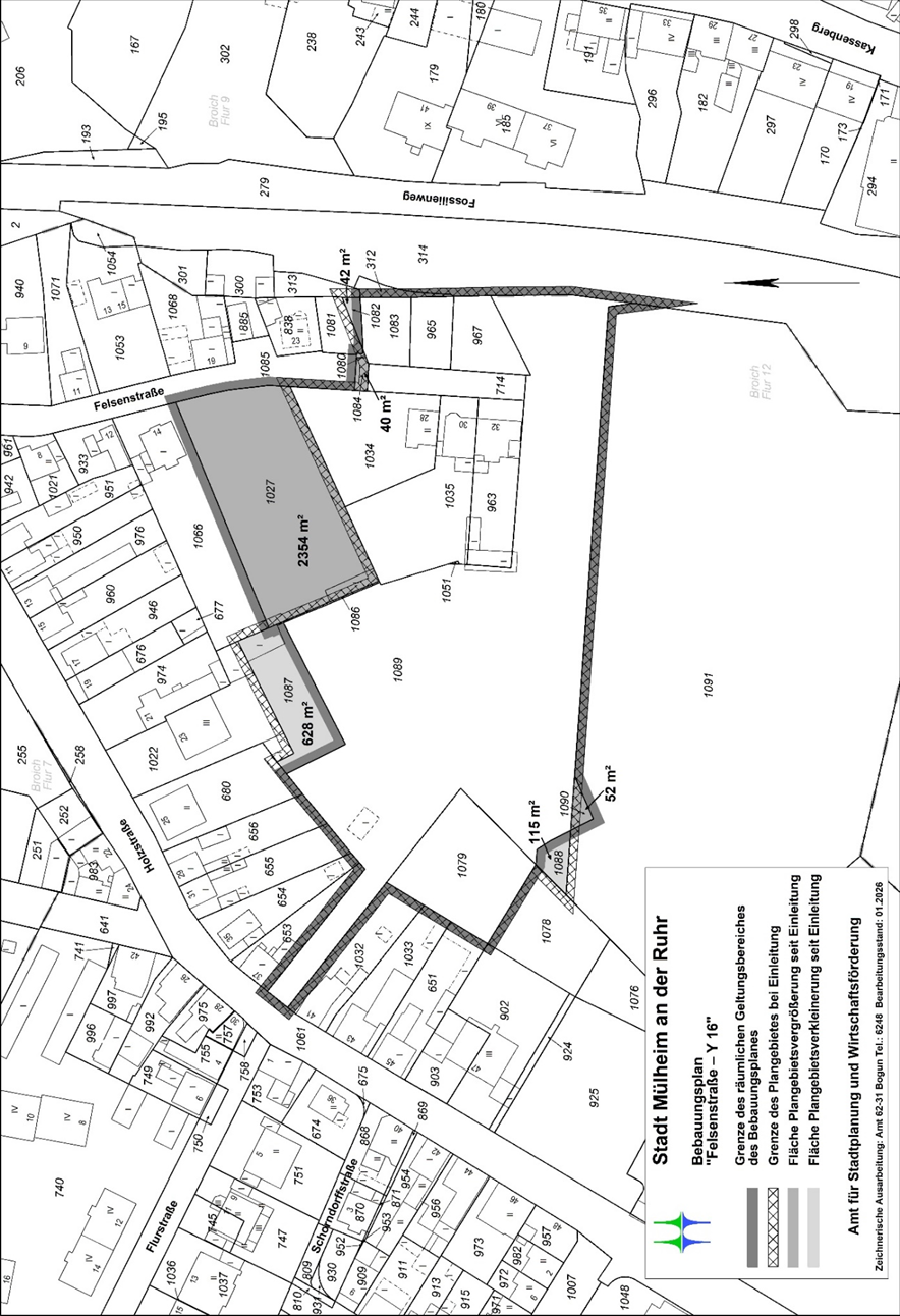
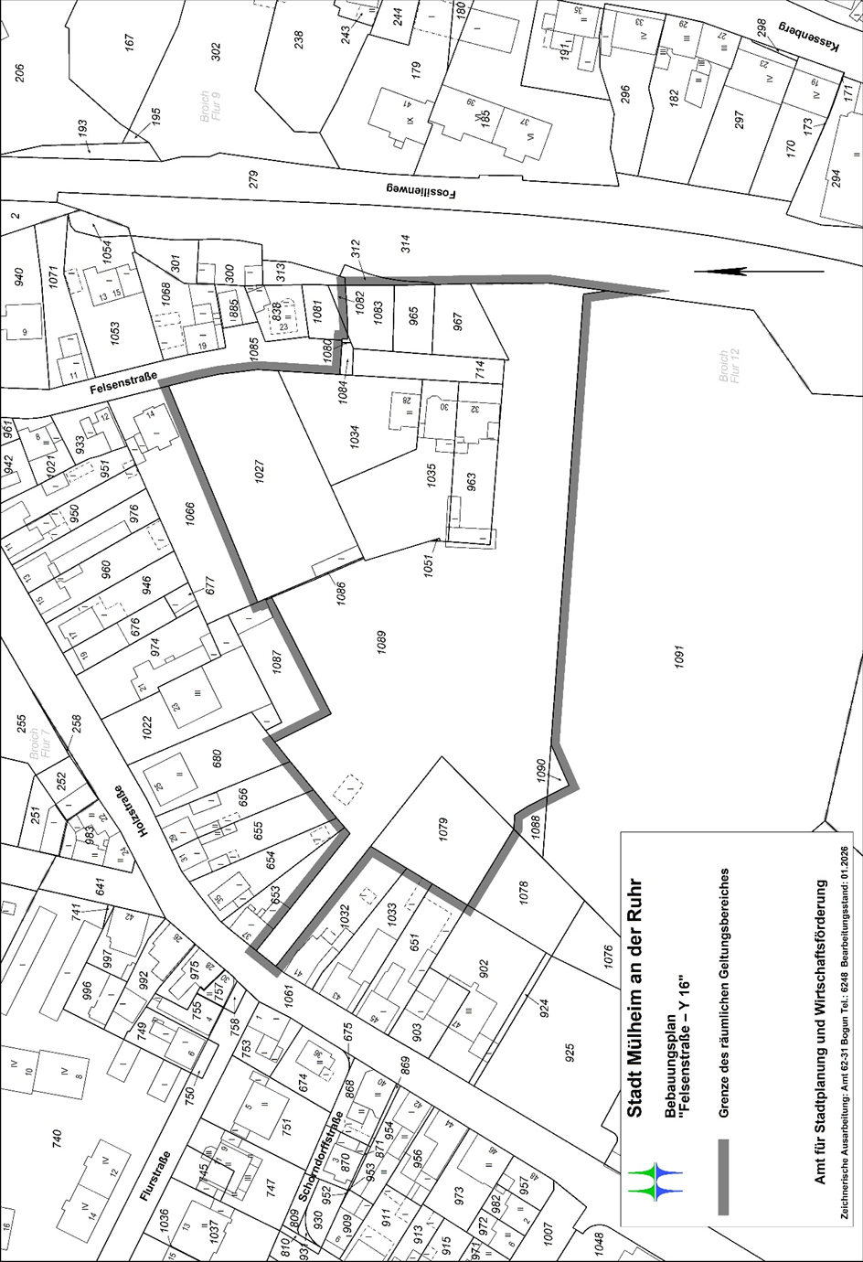
Erneute Einleitung eines Verfahrens zur Aufstellung des Bebauungsplanes „Felsenstraße – Y 16“
I
Der Planungsausschuss hat in seiner Sitzung am 10.02.2026 folgende Beschlüsse gefasst:
„Der Ausschuss für Bauen, Wohnen und Stadtentwicklung nimmt zur Kenntnis, dass das Plangebiet gegenüber dem bisherigen Planungsstand verändert werden soll (siehe Abgrenzungsplan – Anlage 1).
Der Ausschuss für Bauen, Wohnen und Stadtentwicklung beschließt die vorgesehene neue Abgrenzung des Plangebietes des Bebauungsplanes „Felsenstraße - Y 16“ und für den hinzukommenden Bereich die förmliche Einleitung des Verfahrens gemäß § 2 Abs. 1 Baugesetzbuch (BauGB).
Die Entscheidung über die Zulässigkeit von Vorhaben im Gebiet des Bebauungsplanes ist gem. § 15 BauGB auszusetzen, soweit zu befürchten ist, dass die Durchführung der Planung durch das Vorhaben unmöglich gemacht oder wesentlich erschwert werden würde.“
II
Ein Übersichtsplan über die neu eingeleiteten Bereiche und die aufgehobenen Restbereiche des Bebauungsplanes wird gleichzeitig veröffentlicht.
Ein Lageplan mit Darstellung des vorgesehenen Geltungsbereiches des Bebauungsplanes wird gleichzeitig veröffentlicht.
Mülheim an der Ruhr, den 25.Februar 2026
Der Oberbürgermeister
I.V.
David Lüngen


Öffentlichkeitsbeteiligung für den Bebauungsplan „Oberheidstraße/Jörgelstraße – C 24“
I
Öffentlichkeitsbeteiligung für den Bebauungsplan „Oberheidstraße/Jörgelstraße – C 24“
Der Planungsausschuss hat in seiner Sitzung am 04.07.2025 beschlossen, bei der Öffentlichkeitsbeteiligung gemäß § 3 Abs. 1 des Baugesetzbuches (BauGB) für den Bebauungsplan „Oberheidstraße/Jörgelstraße – C 24“ folgende in Zeichnung und Text angegebenen allgemeinen Ziele und Zwecke der Planung öffentlich darzulegen:
Grundsätzliches planerisches Ziel der Stadt Mülheim an der Ruhr ist es, im Plangebiet einer übermäßigen Verdichtung planerisch steuernd entgegenzuwirken, um den begrünten Blockinnenbereich vor einer weiteren baulichen Inanspruchnahme zu schützen – so sollen gesunde Wohn- und Arbeitsverhältnisse gesichert und Folgen des Klimawandels im Wohngebiet abgemildert werden.
Ziele der Planung sind daher:
• Sicherung der vorhandenen Grünflächen und Gehölzstrukturen im Blockinnenbereich,
• Sicherung der vorhandenen Straßenrandbebauung,
• Steuerung einer behutsamen und gebietsverträglichen Nachverdichtung.
Die vorhandenen Nutzungen im Plangebiet sollen durch entsprechende Festsetzungen gesichert und die städtebauliche Entwicklung unter Erhalt der bestehenden Freiflächen gesteuert werden.
II
Veröffentlichung
Zeichnung und Text über die allgemeinen Ziele und Zwecke sowie voraussichtlichen Auswirkungen der Planung werden gemäß § 3 Abs. 1 des Baugesetzbuches (BauGB) im Internet veröffentlicht.
Veröffentlichungsfrist: 02.03.2026 bis einschließlich 02.04.2026
Veröffentlichungsort:
https://www.o-sp.de/muelheim_an_der_ruhr/beteiligung
Der Inhalt der Bekanntmachung und die Bebauungsplanunterlagen werden zudem über das zentrale Internetportal des Landes zugänglich gemacht:
https://www.bauleitplanung.nrw.de
Andere Zugangsmöglichkeiten:
Zusätzlich zur Veröffentlichung im Internet werden die Bebauungsplanunterlagen öffentlich ausgelegt.
Auslegungsort:
Amt für Stadtplanung und Wirtschaftsförderung
Technisches Rathaus
Hans-Böckler-Platz 5, 45468 Mülheim an der Ruhr
19. OG, linke Flurseite
Vororttermine sind, aufgrund von Zugangsbeschränkungen des technischen Rathauses, nur nach vorheriger Terminvereinbarung möglich!
Öffnungszeiten:
montags bis mittwochs von 8.00 Uhr bis 15.30 Uhr
donnerstags von 08.00 Uhr bis 17.00 Uhr
sowie freitags von 08.00 Uhr bis 12.30 Uhr
Unter der Tel.: 0208 / 455 – 6138 (Frau Tuschen) oder der Tel.: 0208 / 455 – 6105 (Frau Schulte Tockhaus) können Termine (bei Bedarf auch außerhalb der o.g. Zeiten) vereinbart werden. Stellungnahmen können während der Dauer der Veröffentlichungsfrist abgegeben werden. Die Stellungnahmen sollen elektronisch übermittelt werden.
Zur elektronischen Übermittlung einer Stellungnahme kann während der Veröffentlichungsfrist die Internetseite des Veröffentlichungsortes
https://www.o-sp.de/muelheim_an_der_ruhr/beteiligung
oder die E-Mail-Adresse
bauleitplanung@muelheim-ruhr.de
genutzt werden.
Stellungnahmen können während der Veröffentlichungsfrist bei Bedarf zudem bei der Stadt Mülheim an der Ruhr - Amt für Stadtplanung und Wirtschaftsförderung- u.a. hier abgegeben werden:
Stadt Mülheim an der Ruhr
Amt für Stadtplanung und Wirtschaftsförderung
Hans-Böckler-Platz 5
45468 Mülheim an der Ruhr
FAX: +49 208 455 6199
Mülheim an der Ruhr, den 19.02.2026
Der Oberbürgermeister
Marc Buchholz

Veröffentlichung des Entwurfes der Satzung über die Aufhebung des Bebauungsplans „Freizeitbereich Entenfang-Süd – K 5a“
Beschlüsse
Der Ausschuss für Bauen, Wohnen und Stadtentwicklung hat in seiner Sitzung am 10.02.2026 den Entwurf für die Aufhebung des Bebauungsplanes „Freizeitbereich Entenfang-Süd – K 5a“ mit Begründung einschließlich Umweltbericht beschlossen und die Verwaltung beauftragt, diesen Entwurf gemäß § 3 Abs. 2 BauGB für die Dauer eines Monats im Internet zu veröffentlichen. Zusätzlich sollen die Unterlagen des Bebauungsplanes öffentlich ausgelegt werden.
„Der Ausschuss für Bauen, Wohnen und Stadtentwicklung nimmt zur Kenntnis, dass die frühzeitige Öffentlichkeitsbeteiligung in der Zeit vom 16.05.2025 bis einschließlich 23.06.2025 stattgefunden hat.
Der Ausschuss für Bauen, Wohnen und Stadtentwicklung nimmt zur Kenntnis, dass keine Stellungnahmen der Öffentlichkeit eingegangen sind.
Der Ausschuss für Bauen, Wohnen und Stadtentwicklung nimmt zur Kenntnis, dass eine erste Beteiligung der Behörden und sonstigen Träger öffentlicher Belange vom 16.05.2025 bis 30.06.2025 durchgeführt wurde. Die während dieser Beteiligung eingegangenen Stellungnahmen sind mit den entsprechenden Stellungnahmen der Verwaltung in der Anlage 1 zusammengefasst. Der Ausschuss für Bauen, Wohnen und Stadtentwicklung nimmt diese zur Kenntnis.
Die Verwaltung wird beauftragt, das Verfahren entsprechend den Stellungnahmen fortzuführen und die Behörden und sonstigen Träger öffentlicher Belange hierüber zu unterrichten. Von einer öffentlichen Bekanntgabe dieses Beschlusses gemäß § 52 Abs. 2 GO NW wird abgesehen.
Die endgültige Entscheidung über die Abwägung obliegt dem Rat der Stadt. Diese abschließende Entscheidung erfolgt dann zum Beschluss zur Aufhebung der Satzung.
Der Ausschuss für Bauen, Wohnen und Stadtentwicklung beschließt gemäß § 2 Abs. 1 BauGB den in der Sitzung vorgelegten Entwurf für die Aufhebung des Bebauungsplanes "Freizeitbereich Entenfang - Süd - K 5a" mit seiner Begründung einschließlich Umweltbericht und beauftragt die Verwaltung, diesen Entwurf gemäß § 3 Abs. 2 BauGB für die Dauer eines Monats im Internet zu veröffentlichen und zusätzlich im Amt für Stadtplanung und Wirtschaftsförderung öffentlich auszulegen.
Gleichzeitig mit der förmlichen Beteiligung der Öffentlichkeit gemäß § 3 Abs. 2 BauGB soll die Beteiligung der Behörden und sonstigen Träger öffentlicher Belange gemäß § 4 Abs. 2 BauGB durchgeführt werden.“
Geltungsbereich
Der Geltungsbereich der Aufhebungssatzung entspricht dem des in Kraft getretenen Bebauungsplans „Freizeitbereich Entenfang-Süd – K 5a“. Er befindet sich an der westlichen Stadtgrenze in der Gemarkung Saarn (Flur 54, Flurstücke 129 – 132, 289, 372, 374 und 376) und umfasst eine Fläche von gut 16 ha.
Der Geltungsbereich liegt an der westlichen Stadtgrenze der Stadt Mülheim an der Ruhr. Westlich außerhalb des Geltungsbereichs verläuft eine mehrgleisige Bahntrasse, die bereits auf Duisburger Stadtgebiet liegt. Das Gewässer „Entenfang“ liegt nördlich außerhalb des Geltungsbereichs der Aufhebungssatzung. Östlich außerhalb verläuft die BAB 3, südlich angrenzend befinden sich umfangreiche Waldflächen.
Der Geltungsbereich selbst liegt mitten im Mülheimer Stadtwald. Er umfasst im Westen die Zufahrtsstraße „Bissingheimer Straße“, im Norden grenzt der Bereich an das Südufer des Entenfangsees und im Osten wird das Gebiet durch einen außerhalb des Plangebietes verlaufenden Fußweg begrenzt, der „Am Entenfang“ heißt. Im Süden verläuft der „Nachbarsweg“ teilweise im und teilweise außerhalb des Bereichs, ist jedoch nicht für die Allgemeinheit befahrbar.
Der räumliche Geltungsbereich des Entwurfes zur Aufhebung der Satzung des Bebauungsplans „Freizeitbereich Entenfang-Süd – K 5a“ ist aus dem beigefügten Übersichtsplan ersichtlich.
Wesentliche Ziele der Planung
Mit der Durchführung des Aufhebungsverfahrens werden folgende Ziele verfolgt:
- Aufhebung des Bebauungsplans „Freizeitbereich Entenfang-Süd – K 5a“
- Steuerung der städtebaulichen Entwicklung künftig nach §§ 34 und 35 BauGB
Das Ziel dieser Aufhebungssatzung ist die Planaufhebung des Bebauungsplans „Freizeitbereich Entenfang-Süd – K 5a, der gerichtlich inzident für unwirksam erklärt wurde. Nach dem Beschluss dieser Aufhebungssatzung wird die Zulässigkeit von Bauvorhaben gemäß §§ 34 und 35 BauGB zu beurteilen sein. Der Bereich des Campingplatzes ist schon derzeit nach § 34 BauGB als faktisches Wochenendhausgebiet zu beurteilen und wurde am 30.01.2023 als Wochenendhaus-Platz genehmigt.
Zeit und Ort der Veröffentlichung
Der Entwurf zur Aufhebung des Bebauungsplans „Freizeitbereich Entenfang-Süd – K 5a“ mit seiner Begründung einschließlich Umweltbericht und die wesentlichen, bereits vorliegenden umweltbezogenen Stellungnahmen werden hiermit gemäß § 3 Abs. 2 des Baugesetzbuches (BauGB) im Internet veröffentlicht.
Veröffentlichungsfrist: 02.03.2026 bis einschließlich 02.04.2026
Veröffentlichungsort:
https://www.o-sp.de/muelheim_an_der_ruhr/beteiligung
Der Inhalt der Bekanntmachung und die Bebauungsplanunterlagen werden zudem über das zentrale Internetportal des Landes zugänglich gemacht:
https://www.bauleitplanung.nrw.de
Andere Zugangsmöglichkeiten:
Zusätzlich zur Veröffentlichung im Internet werden die Bebauungsplanunterlagen für die Aufhebung des Bebauungsplans „Freizeitbereich Entenfang-Süd – K 5a“ mit Begründung einschließlich Umweltbericht und die wesentlichen, bereits vorliegenden umweltbezogenen Stellungnahmen öffentlich ausgelegt.
Auslegungsort:
Amt für Stadtplanung und Wirtschaftsförderung
Technisches Rathaus
Hans-Böckler-Platz 5, 45468 Mülheim an der Ruhr
19. OG, linke Flurseite
Öffnungszeiten:
montags bis mittwochs von 8.00 Uhr bis 15.30 Uhr
donnerstags von 08.00 Uhr bis 17.00 Uhr
sowie freitags von 08.00 Uhr bis 12.30 Uhr
Vororttermine sind, aufgrund von Zugangsbeschränkungen des technischen Rathauses, nur nach vorheriger Terminvereinbarung möglich!
Unter der Tel.: 0208 / 455 – 6140 (Frau Rödel) und 0208 / 455 - 6145 (Frau Schulte Tockhaus) können Termine (bei Bedarf auch außerhalb der o.g. Zeiten) vereinbart werden.
Stellungnahmen können während der Dauer der Veröffentlichungsfrist abgegeben werden. Stellungnahmen sollen elektronisch übermittelt werden.
Zur elektronischen Übermittlung einer Stellungnahme kann während der Veröffentlichungsfrist die Internetseite des Veröffentlichungsortes
https://www.o-sp.de/muelheim_an_der_ruhr/beteiligung
oder die E-Mail-Adresse:
bauleitplanung@muelheim-ruhr.de
genutzt werden.
Stellungnahmen können während der Veröffentlichungsfrist bei Bedarf zudem bei der Stadt Mülheim an der Ruhr - Amt für Stadtplanung und Wirtschaftsförderung u.a. hier abgegeben werden:
Stadt Mülheim an der Ruhr
Amt für Stadtplanung und Wirtschaftsförderung
Hans-Böckler-Platz 5
45468 Mülheim an der Ruhr
Fax: +49 208 455 6199
Umweltbezogene Informationen
Folgende Arten umweltbezogener Informationen sind verfügbar:
| Schutzgut Mensch und seine Gesundheit/Bevölkerung |
|
| Schutzgut Tiere und Pflanzen/biologische Vielfalt und Landschaft |
|
| Schutzgut Boden/Fläche |
|
| Schutzgut Wasser |
|
| Schutzgut Luft und Klima |
|
| Schutzgut Kultur- und Sachgüter |
|
Die ausliegenden Unterlagen beinhalten folgende umweltbezogene Stellungnahmen:
Stellungnahmen der Behörden und sonstigen Träger öffentlicher Belange
Hinweis gem. § 3 Abs. 2 i.V.m. § 4 a Abs. 5 BauGB
Stellungnahmen, die im Verfahren der Öffentlichkeits- und Behördenbeteiligung nicht rechtzeitig abgegeben worden sind, können bei der Beschlussfassung über die Änderung des Bebauungsplans unberücksichtigt bleiben, sofern die Gemeinde deren Inhalt nicht kannte und nicht hätte kennen müssen und deren Inhalt für die Rechtmäßigkeit des Bauleitplans nicht von Bedeutung ist.
Mülheim an der Ruhr, den 19.02.2026
Der Oberbürgermeister
Marc Buchholz

Öffentliche Zustellung eines Bußgeldbescheides
Der gegen---------------------------------------- - ------------------------------, unter dem Aktenzeichen 32-3/001168989/5 am 27.01.2026 erlassene Bußgeldbescheid konnte nicht zugestellt werden, da der derzeitige Aufenthaltsort des Empfängers nicht zu ermitteln und eine Zustellung an einen Vertreter oder Zustellungsbevollmächtigten nicht möglich ist.
Der Bußgeldbescheid vom 27.01.2026 wird hiermit nach § 10 des Verwaltungszustellungsgesetzes für das Land Nordrhein-Westfalen (LZG NRW) öffentlich zugestellt.
Der Bußgeldbescheid gilt als zugestellt, wenn seit dem Tag der Bekanntmachung beziehungsweise seit der Veröffentlichung der Benachrichtigung zwei Wochen vergangen sind (§ 10 Abs. 2 letzter Satz LZG NRW). Nach Zustellung kann innerhalb von zwei Wochen Einspruch erhoben werden. Es werden damit Fristen in Gang gesetzt, nach deren Ablauf Rechtsverluste drohen können.
Der Bußgeldbescheid kann von dem Betroffenen beim Oberbürgermeister der Stadt Mülheim an der Ruhr, Ordnungsamt (Bußgeldstelle), Am Rathaus 1, Zimmer C.227, eingesehen werden.
Mülheim an der Ruhr, den 26.02.2026
Der Oberbürgermeister
Im Auftrag
Vogt
Öffentliche Zustellung eines Bußgeldbescheides
Der gegen ------------------------------------- -------------------------------, unter dem Aktenzeichen 32-3/001168981/43 am 15.01.2026 erlassene Bußgeldbescheid konnte nicht zugestellt werden, da der derzeitige Aufenthaltsort des Empfängers nicht zu ermitteln und eine Zustellung an einen Vertreter oder Zustellungsbevollmächtigten nicht möglich ist.
Der Bußgeldbescheid vom 15.01.2026 wird hiermit nach § 10 des Verwaltungszustellungsgesetzes für das Land Nordrhein-Westfalen (LZG NRW) öffentlich zugestellt.
Der Bußgeldbescheid gilt als zugestellt, wenn seit dem Tag der Bekanntmachung beziehungsweise seit der Veröffentlichung der Benachrichtigung zwei Wochen vergangen sind (§ 10 Abs. 2 letzter Satz LZG NRW). Nach Zustellung kann innerhalb von zwei Wochen Einspruch erhoben werden. Es werden damit Fristen in Gang gesetzt, nach deren Ablauf Rechtsverluste drohen können.
Der Bußgeldbescheid kann von dem Betroffenen beim Oberbürgermeister der Stadt Mülheim an der Ruhr, Ordnungsamt (Bußgeldstelle), Am Rathaus 1, Zimmer C.222, eingesehen werden.
Mülheim an der Ruhr, den 13.02.2026
Der Oberbürgermeister
Im Auftrag
Trommershausen
Öffentliche Zustellung eines Bußgeldbescheides
Der gegen ----------------------------- ------ ----------------------------- ------ -----, unter dem Aktenzeichen 32-3/006460626/65 am 05.01.2026 erlassene Bußgeldbescheid konnte nicht zugestellt werden, da der derzeitige Aufenthaltsort des Empfängers nicht zu ermitteln und eine Zustellung an einen Vertreter oder Zustellungsbevollmächtigten nicht möglich ist.
Der Bußgeldbescheid vom 05.01.2026 wird hiermit nach § 10 des Verwaltungszustellungsgesetzes für das Land Nordrhein-Westfalen (LZG NRW) öffentlich zugestellt.
Der Bußgeldbescheid gilt als zugestellt, wenn seit dem Tag der Bekanntmachung beziehungsweise seit der Veröffentlichung der Benachrichtigung zwei Wochen vergangen sind (§ 10 Abs. 2 letzter Satz LZG NRW). Nach Zustellung kann innerhalb von zwei Wochen Einspruch erhoben werden. Es werden damit Fristen in Gang gesetzt, nach deren Ablauf Rechtsverluste drohen können.
Der Bußgeldbescheid kann von dem Betroffenen beim Oberbürgermeister der Stadt Mülheim an der Ruhr, Ordnungsamt (Bußgeldstelle), Am Rathaus 1, Zimmer C 208, eingesehen werden.
Mülheim an der Ruhr, den 17.02.2026
Der Oberbürgermeister
Im Auftrag
Koberling
Öffentliche Zustellung eines Bußgeldbescheides
Der gegen ---------------------------------- ----------------------------, unter dem Aktenzeichen 32-3/009500136/72 am 20.11.2025 erlassene Bußgeldbescheid konnte nicht zugestellt werden, da der derzeitige Aufenthaltsort des Empfängers nicht zu ermitteln und eine Zustellung an einen Vertreter oder Zustellungsbevollmächtigten nicht möglich ist.
Der Bußgeldbescheid vom 20.11.2025 wird hiermit nach § 10 des Verwaltungszustellungsgesetzes für das Land Nordrhein-Westfalen (LZG NRW) öffentlich zugestellt.
Der Bußgeldbescheid gilt als zugestellt, wenn seit dem Tag der Bekanntmachung beziehungsweise seit der Veröffentlichung der Benachrichtigung zwei Wochen vergangen sind (§ 10 Abs. 2 letzter Satz LZG NRW). Nach Zustellung kann innerhalb von zwei Wochen Einspruch erhoben werden. Es werden damit Fristen in Gang gesetzt, nach deren Ablauf Rechtsverluste drohen können.
Der Bußgeldbescheid kann von dem Betroffenen beim Oberbürgermeister der Stadt Mülheim an der Ruhr, Ordnungsamt, Am Rathaus 1, Zimmer B 215, eingesehen werden.
Mülheim an der Ruhr, den 17.02.2026
Der Oberbürgermeister
Im Auftrag
Ferreira
Öffentliche Zustellung einer Rechtswahrungsanzeige
Öffentliche Zustellung der Rechtswahrungsanzeige gem. 132 Abs. 2 BGB i.V.m. §§ 204 ff ZPO
Die an ---- --- ------ gerichtete Rechtswahrungsanzeige vom 19.02.2026 kann nicht zugestellt werden, da der jetzige Aufenthalt des Empfängers unbekannt ist.
Die Rechtswahrungsanzeige gemäß § 132 Abs. 2 BGB i.V.m. 204 ff ZPO wird hiermit nach § 15 Abs. 2 des Verwaltungszustellungsgesetzes zugestellt.
Sie kann bei der Stadtverwaltung Mülheim an der Ruhr- Sozialamt/ Bereich Jugend -Unterhaltsvorschusskasse auf der Friedrichstr. 12, eingesehen werden.
Mülheim an der Ruhr, den 19.02.2026
Der Oberbürgermeister
Im Auftrag
Altunbey
Öffentliche Zustellung der Überleitungsanzeige gem. 132 Abs. 2 BGB i.V.m. §§ 204 ff ZPO
Die an ---- ------- ---------- ------- ---------, gerichtete Überleitungsanzeige vom 19.02.2026 kann nicht zugestellt werden, da der jetzige Aufenthalt des Empfängers unbekannt ist.
Die Überleitungsanzeige gemäß § 132 Abs. 2 BGB i.V.m. 204 ff ZPO wird hiermit nach § 15 Abs. 2 des Verwaltungszustellungsgesetzes zugestellt.
Sie kann bei der Stadtverwaltung Mülheim an der Ruhr, Sozialamt, Bereich Jugend, Unterhaltsvorschusskasse, Friedrichstr. 12, 45468 Mülheim an der Ruhr, eingesehen werden.
Mülheim an der Ruhr, den 19.02.2026
Der Oberbürgermeister
Im Auftrag
Simmo
Öffentliche Zustellung der Rechtswahrungsanzeige gem. 132 Abs. 2 BGB i.V.m. §§ 204 ff ZPO
Die an ----- --------- --------- ---- -- ----------- ---------- ------- ---------, gerichtete Rechtswahrungsanzeige vom 20.02.2026 kann nicht zugestellt werden, da der jetzige Aufenthalt des Empfängers unbekannt ist.
Die Rechtswahrungsanzeige gemäß § 132 Abs. 2 BGB i.V.m. 204 ff ZPO wird hiermit nach § 15 Abs. 2 des Verwaltungszustellungsgesetzes zugestellt.
Sie kann bei der Stadtverwaltung Mülheim an der Ruhr, Sozialamt, Bereich Jugend, Unterhaltsvorschusskasse, Friedrichstr. 12, 45468 Mülheim an der Ruhr, eingesehen werden.
Mülheim an der Ruhr, den 20.02.2026
Der Oberbürgermeister
Im Auftrag
Sommer
Öffentliche Zustellung eines Bußgeldbescheides
Der gegen ---------------------------------------- ----------------------------, unter dem Aktenzeichen 32-3/005327033/24 am 01.12.2025 erlassene Bußgeldbescheid konnte nicht zugestellt werden, da der derzeitige Aufenthaltsort des Empfängers nicht zu ermitteln und eine Zustellung an einen Vertreter oder Zustellungsbevollmächtigten nicht möglich ist.
Der Bußgeldbescheid vom 01.12.2025 wird hiermit nach § 10 des Verwaltungszustellungsgesetzes für das Land Nordrhein-Westfalen (LZG NRW) öffentlich zugestellt.
Der Bußgeldbescheid gilt als zugestellt, wenn seit dem Tag der Bekanntmachung beziehungsweise seit der Veröffentlichung der Benachrichtigung zwei Wochen vergangen sind (§ 10 Abs. 2 letzter Satz LZG NRW). Nach Zustellung kann innerhalb von zwei Wochen Einspruch erhoben werden. Es werden damit Fristen in Gang gesetzt, nach deren Ablauf Rechtsverluste drohen können.
Der Bußgeldbescheid kann von dem Betroffenen beim Oberbürgermeister der Stadt Mülheim an der Ruhr, Ordnungsamt (Bußgeldstelle), Am Rathaus 1, Zimmer C.206, eingesehen werden.
Mülheim an der Ruhr, den 20.02.2026
Der Oberbürgermeister
Im Auftrag
Backmann
Öffentliche Zustellung der Überleitungsanzeige gem. 132 Abs. 2 BGB i.V.m. §§ 204 ff ZPO
Die an ----- -------- ------ ---- -- ----------- ---------- ------- ---------, gerichtete Überleitungsanzeige vom 23.02.2026 kann nicht zugestellt werden, da der jetzige Aufenthalt des Empfängers unbekannt ist.
Die Überleitungsanzeige gemäß § 132 Abs. 2 BGB i.V.m. 204 ff ZPO wird hiermit nach § 15 Abs. 2 des Verwaltungszustellungsgesetzes zugestellt.
Sie kann bei der Stadtverwaltung Mülheim an der Ruhr, Sozialamt, Bereich Jugend, Unterhaltsvorschusskasse, Friedrichstr. 12, 45468 Mülheim an der Ruhr, eingesehen werden.
Mülheim an der Ruhr, den 23.02.2026
Der Oberbürgermeister.
Im Auftrag
Simmo
Öffentliche Zustellung eines Gebührenbescheids
Der an ------- ------- -- -- --------, zustellende Gebührenbescheid vom 19.02.2026
- (Aktenzeichen 37-52.01/58610/25)
konnte nicht zugestellt werden, da der jetzige Aufenthalt des Empfängers unbekannt ist.
Der Gebührenbescheid gemäß der Satzung über die Erhebung von Gebühren für den Rettungsdienst - Rettungsdienstgebührensatzung - der Stadt Mülheim an der Ruhr wird hiermit nach § 1 in Verbindung mit § 10 des Landeszustellungsgesetzes zugestellt.
Er kann beim Amt für Brandschutz, Rettungsdienst, Zivil- und Katastrophenschutz Mülheim an der Ruhr, Zur Alten Dreherei 11 in 45479 Mülheim an der Ruhr, bei Frau Zürichs (Zimmer A 1.21), eingesehen werden.
Mülheim an der Ruhr, 23.02.2026
Der Oberbürgermeister
Im Auftrag
Zürichs
Öffentliche Zustellung
Der an ---- ----- -- --------- ------- -------- ----------------------- --- ----- -----, zuzustellende Rückforderungsbescheid vom 24.02.2026 (Aktenzeichen: 57-15/113372/35) konnte nicht zugestellt werden, da der jetzige Aufenthalt des Empfängers unbekannt ist.
Der Rückforderungsbescheid gem. § 40 Abs. 1 S. 1 SGB II i. v. m. §§ 65, 66 Sozialgesetzbuch Zehntes Buch (SGB X) wird hiermit nach § 10 Abs. 1 S .1 des Verwaltungszustellungsgesetzes zugestellt.
Er kann beim Jobcenter Mülheim an der Ruhr, Eppinghofer Straße 50 in 45468 Mülheim an der Ruhr, Herr Pollok eingesehen werden.
Mülheim an der Ruhr, den 24.02.2026
Der Oberbürgermeister
Im Auftrag
Pollok
Öffentliche Zustellung der Rechtswahrungsanzeige gem. 132 Abs. 2 BGB i.V.m. §§ 204 ff ZPO
Die an ----- ------ -------- ---------, geb. am 11.07.1986, Aufenthalt derzeit unbekannt, gerichtete Rechtswahrungsanzeige vom 26.02.2026 kann nicht zugestellt werden, da der jetzige Aufenthalt des Empfängers unbekannt ist
Die Rechtswahrungsanzeige gemäß § 132 Abs. 2 BGB i.V.m. 204 ff ZPO wird hiermit nach § 15 Abs. 2 des Verwaltungszustellungsgesetzes zugestellt.
Sie kann bei der Stadtverwaltung Mülheim an der Ruhr, Sozialamt, Bereich Jugend, Unterhaltsvorschusskasse, Friedrichstr. 12, 45468 Mülheim an der Ruhr, eingesehen werden.
Mülheim an der Ruhr, den 26.02.2026
Der Oberbürgermeister
Im Auftrag
Simmo
Öffentliche Zustellung der Überleitungsanzeige
Die an ------ ----- --- gerichtete Überleitungsanzeige vom 17.11.2025 kann nicht zugestellt werden, da der jetzige Aufenthalt des Empfängers unbekannt ist.
Die Überleitungsanzeige gemäß § 132 Abs. 2 BGB i.V.m. 204 ff ZPO wird hiermit nach § 15 Abs. 2 des Verwaltungszustellungsgesetzes zugestellt.
Sie kann bei der Stadtverwaltung Mülheim an der Ruhr, Sozialamt, Bereich Jugend, Unterhaltsvorschusskasse, Friedrichstr. 12, 45468 Mülheim an der Ruhr, eingesehen werden.
Mülheim an der Ruhr, den 26.02.2026
Der Oberbürgermeister
Im Auftrag
Simmo
Rechtswahrungsanzeige
Öffentliche Zustellung der Rechtswahrungsanzeige gem. 132 Abs. 2 BGB i.V.m. §§ 204 ff ZPO
Die an ----- ------ gerichtete Rechtswahrungsanzeige vom 06.01.2026 kann nicht zugestellt werden, da der jetzige Aufenthalt des Empfängers unbekannt ist.
Die Rechtswahrungsanzeige gemäß § 132 Abs. 2 BGB i.V.m. 204 ff ZPO wird hiermit nach § 15 Abs. 2 des Verwaltungszustellungsgesetzes zugestellt.
Sie kann bei der Stadtverwaltung Mülheim an der Ruhr- Sozialamt/ Bereich Jugend -Unterhaltsvorschusskasse auf der Friedrichstr. 12, eingesehen werden.
Mülheim an der Ruhr, den 27.02.2026
Der Oberbürgermeister
Im Auftrag
Çavlı
Öffentliche Zustellung eines Bußgeldbescheides
Der gegen ------------------------------ ---------------------------, unter dem Aktenzeichen 32-3/005327006/113 am 21.01.2026 erlassene Bußgeldbescheid konnte nicht zugestellt werden, da der derzeitige Aufenthaltsort des Empfängers nicht zu ermitteln und eine Zustellung an einen Vertreter oder Zustellungsbevollmächtigten nicht möglich ist.
Der Bußgeldbescheid vom 21.01.2026 wird hiermit nach § 10 des Verwaltungszustellungsgesetzes für das Land Nordrhein-Westfalen (LZG NRW) öffentlich zugestellt.
Der Bußgeldbescheid gilt als zugestellt, wenn seit dem Tag der Bekanntmachung beziehungsweise seit der Veröffentlichung der Benachrichtigung zwei Wochen vergangen sind (§ 10 Abs. 2 letzter Satz LZG NRW). Nach Zustellung kann innerhalb von zwei Wochen Einspruch erhoben werden. Es werden damit Fristen in Gang gesetzt, nach deren Ablauf Rechtsverluste drohen können.
Der Bußgeldbescheid kann von dem Betroffenen beim Oberbürgermeister der Stadt Mülheim an der Ruhr, Ordnungsamt (Bußgeldstelle), Am Rathaus 1, Zimmer C 206, eingesehen werden.
Mülheim an der Ruhr, den 27.02.2026
Der Oberbürgermeister
Im Auftrag
Walter
Vergabe einer amtlichen Lagebezeichnung
Bekanntmachung
Vergabe/ Änderung einer amtlichen Lagebezeichnung für das Grundstück:
Gemarkung: Mülheim, Flur: 22, Flurstück(e): 134
Alte Bezeichnung: Aktienstraße 114I
Neue Bezeichnung: Aktienstraße 114 a
Mülheim an der Ruhr, den 18.02.2026
Der Oberbürgermeister
Amt für Geodaten, Kataster und Wohnbauförderung
Im Auftrag
Schimanski
Vergabe einer amtlichen Lagebezeichnung
Bekanntmachung
Vergabe einer zusätzlichen amtlichen Lagebezeichnung für das Grundstück:
Gemarkung: Mülheim, Flur: 72, Flurstück(e): 19
Alte Bezeichnung: Aktienstraße 44
Neue Bezeichnung: Aktienstraße 44, Auerstraße 92
Mülheim an der Ruhr, den 18.02.2026
Der Oberbürgermeister
Amt für Geodaten, Kataster und Wohnbauförderung
Im Auftrag
Schimanski
Vergabe einer amtlichen Lagebezeichnung
Bekanntmachung
Vergabe einer zusätzlichen amtlichen Lagebezeichnung für das Grundstück:
Gemarkung: Mülheim, Flur: 46, Flurstück(e): 151
Alte Bezeichnung: Kluse 48
Neue Bezeichnung: Kluse 48, 48 a
Mülheim an der Ruhr, den 24.02.2026
Der Oberbürgermeister
Amt für Geodaten, Kataster und Wohnbauförderung
Im Auftrag
Schimanski